DEFINISI
Konsep dasar dalam melakukan pengukuran jarak optis yaitu pengukuran yang dilakukan dengan mengukur rambu ukur tegak dan diamat bacaan benang atas (ba), benang tengah (bt), dan benang bawah (bb) serta sudut vertikal (helling/zenith). Pengukuran jarak optis dapat dilakukan dengan menggunakan alat ukur theodolite dan alat ukur sipat datar yaitu waterpass.
Pengukuran jarak optis adalah pengukuran yang tidak langsung didapat hasilnya, tetapi harus melalui proses perhitungan terlebih dahulu. Pengukuran jarak optis dilakukan dengan pembacaan rambu ukur melalui teropong pada alat ukur theodolite atau sipat datar. Jarak antara alat ke titik (ditandai dengan rambu ukur) dapat juga ditentukan dari bacaan benang pada alat disebut sebagai jarak optis atau jarak tak langsung. Pengukuran jarak optis dilakukan dengan cara menghitung jarak menggunakan sipat datar, cukup dengan membaca interval rambu horizontal (BA - BB) dikali dengan konstanta pengali teropong sebesar 100.
PERALATAN DAN BAHAN
Pengertian Theodolite
Theodolite adalah alat ukur sudut baik horizontal maupun vertikal sehingga pada alat ini teropong harus dapat berputar pada dua lingkaran berskala, yaitu lingkaran berskala tegak dan mendatar. Alat ini juga tergolong alat berkaki tiga yaitu pada operasionalnya harus terpasang berkaki tiga atau statif.
Prinsip Kerja Alat
Teropong atau lebih tegasnya benang diafragma mendatar pada jarak tertentu, bila diputar mendatar harus membentuk bidang horizontal dan benang diafragma tegak bila diputar ke arah tegak harus membentuk atau mengikuti bidang vertikal.
Kegunaan Alat
Theodolite dinyatakan sebagai alat ukur sudut karena alat ini disiapkan atau dirancang untuk mengukur sudut baik sudut vertikal maupun horizontal. Oleh karena itu, kegunaan alat ukur ini adalah untuk mengukur sudut. Kegunaan lain alat ukur ini yaitu dengan bantuan rambu ukur dapat digunakan sebagai pengukur jarak baik jarak horizontal maupun miring dan mengukur beda tinggi dengan menggunakan metode. Theodolite dipasang di tripod, sumbu ke-1 sudah dalam keadaan tegak yang diperlihatkan oleh kedudukan gelembung nivo kotak ada di tengah. Sumbu ke-2 sudah dalam keadaan mendatar yang diperlihatkan oleh gelembung nivo tabung ada di tengah. Pada pembidikan alat yang diatur adalah benangnya karena teropong theodolite penggunaannya tidak harus mendatar.
Rambu Ukur
Rambu ukur adalah alat yang terbuat dari kayu atau campuran alumunium yang diberi skala pembacaan. Alat ini berbentuk mistar ukur yang besar, mistar ini mempunyai panjang 3, 4 bahkan ada yang 5 meter. Skala rambu ini dibuat dalam cm, tiap-tiap blok merah, putih, atau hitam menyatakan 1 cm, setiap 5 blok tersebut berbentuk huruf E yang menyatakan 5 cm, tiap 2 buah E menyatakan 1 dm. Tiap-tiap meter diberi warna yang berlainan, merah-putih, hitam-putih, dll. Semua warna tersebut dimaksudkan agar memudahkan dalam pembacaan rambu.
TAHAPAN PENGUKURAN DAN PERHITUNGAN
Fungsi
Fungsi rambu ukur yang utama dari rambu ukur ini adalah untuk mempermudah/membantu mengukur beda tinggi antara garis bidik dengan permukaan tanah. Hal yang perlu diperhatikan dari rambu ukur adalah :
- Skala rambu dalam cm, mm, atau interval jarak pada garis-garis dalam rambu tersebut setiap berapa cm atau berapa mm.
- Skala dari rambu, terutama pada daerah sambungan rambu harus benar.
- Atur ketinggian rambu ukur dengan menarik batangnya sesuai dengan kebutuhan, kemudian kunci.
- Letakkan dasar rambu ukur tepat diatas tengah-tengah patok (titik) yang akan dibidik.
- Usahakan rambu ukur tersebut tidak miring/condong (depan, belakang, kiri, dan kanan) karena bisa mempengaruhi hasil pembacaan.
- Bidikkan dan arahkan teropong secara kasar pada rambu ukur yang didirikan vertikal pada satu titik yang telah ditentukan menggunakan garis bidik yang ada di atas pesawat theodolite.
- Bila bayangan kabur, perjelas dengan memutar sekrup pengatur lensa objektif dan jika benang kabur perjelas dengan memutar sekrup pengatur diafragma.
- Himpitkan benang silang diafragma dengan sumbu rambu ukur dengan cara mengatur sekrup penggerak halus.
- Cara membaca rambu ukur. Dalam rambu ukur yang dibaca adalah benang tengah, benang atas, dan benang bawah. Cara pembacaan rambu ukur adalah dengan menggunakan satuan mm dengan 4 digit angka, sebagai contoh.
- Benang Atas (BA) : 1,046 m
- Benang Tengah (BT) : 0,987 m
- Benang Bawah (BB) : 0,929 m
- Setelah didapatkan hasil bacaan benang, langkah selanjutnya adalah menghitung koreksi bacaan dan menghitung jarak optis. Maka hasilnya akan seperti dibawah ini.
- Hasil Bacaan :
- Benang Atas (BA) : 1,046 m
- Benang Tengah (BT) : 0,987 m
- Benang Bawah (BB) : 0,929 m
- Koreksi Bacaan
Cara Pembacaan pada Rambu Ukur
Sehingga dalam pembacaan rambu yang pertama dilihat adalah angka dengan ukuran paling besar kemudian di tambahkan dengan digit selanjutnya. Misalnya kita akan membaca BB. Cara membacanya, dilihat terlebih dahulu angka yang terbesar yakni 0,900 m dan kemudian ditambahkan dengan digit selanjutnya yakni 29 mm. Sehingga menjadi 0,929 m.
Berikut adalah bagaimana cara membidik rambu ukur dari teropong theodolite. Pada saat membidik rambu ukur yang dibaca adalah benang tengah terlebih dahulu disebabkan oleh tinggi benang tengah sama dengan tinggi dari alat ukur theodolite. Setelah membaca benang tengah barulah membaca benang atas dan benang bawah, seperti gambar di bawah ini.
Hasil Bacaan :
Cara Menghitung Jarak Optis
- Perhitungan Jarak Optis :
D = (1,046 – 0,929) x 100 x sin2 98o 59’ 45”
D = 0,117 x 100 x 0,98
Lebih Jelas Tentang Konsepnya
- Jarak Optis Teropong Mendatar
Keterangan :
ba: bacaan benang atas pada rambu
bt : bacaan benang tengah pada rambu
bb: bacaan benang bawah pada rambu
c: jarak sumbu II —lensa obyektif
f: jarak fokus lensa obyektif : jarak ba —bb pada diafragma
s: jarak ba —bb pada rambu
d: jarak dari fokus rambu
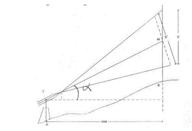
DAB:
jarak datar dari A —B
- Jarak Optis Teropong Miring
- Tachimetri

https://orcid.org/0009-0008-4777-7198
.jpg)
Tidak ada komentar:
Posting Komentar